技术服务
技术服务
非生物胁迫是非生物因素对特定环境中的生物体的负面影响,其不利于植物生存和生长发育甚至导致伤害、破坏和死。通常包括温度、干旱、盐渍、水淹、过量光、紫外线辐射,以及空气、土壤或水体污染如重金属、农药、臭氧和二氧化硫污染等。
1、研究非生物胁迫对植物生长的影响;
2、探究目的基因在非生物胁迫中的作用机理。
1、本司具有多个物种组织培养条件和转基因技术;
2、本司可代为观察胁迫处理后植物表型;
3、本司可进行相关的基因表达量和各生理指标检测。
咨询下单—样本寄送—转基因材料种植和检测—胁迫处理,表型观察和生理指标检测—结果交付。
标准实验报告,包括实验步骤与结果;
胁迫处理表型观察图;
基因表达量检测,生理指标检测结果。
植物组织需要活体寄送,或者寄送种子由本司代为种植;
胁迫处理条件,检测指标,胁迫实验参考文献等。
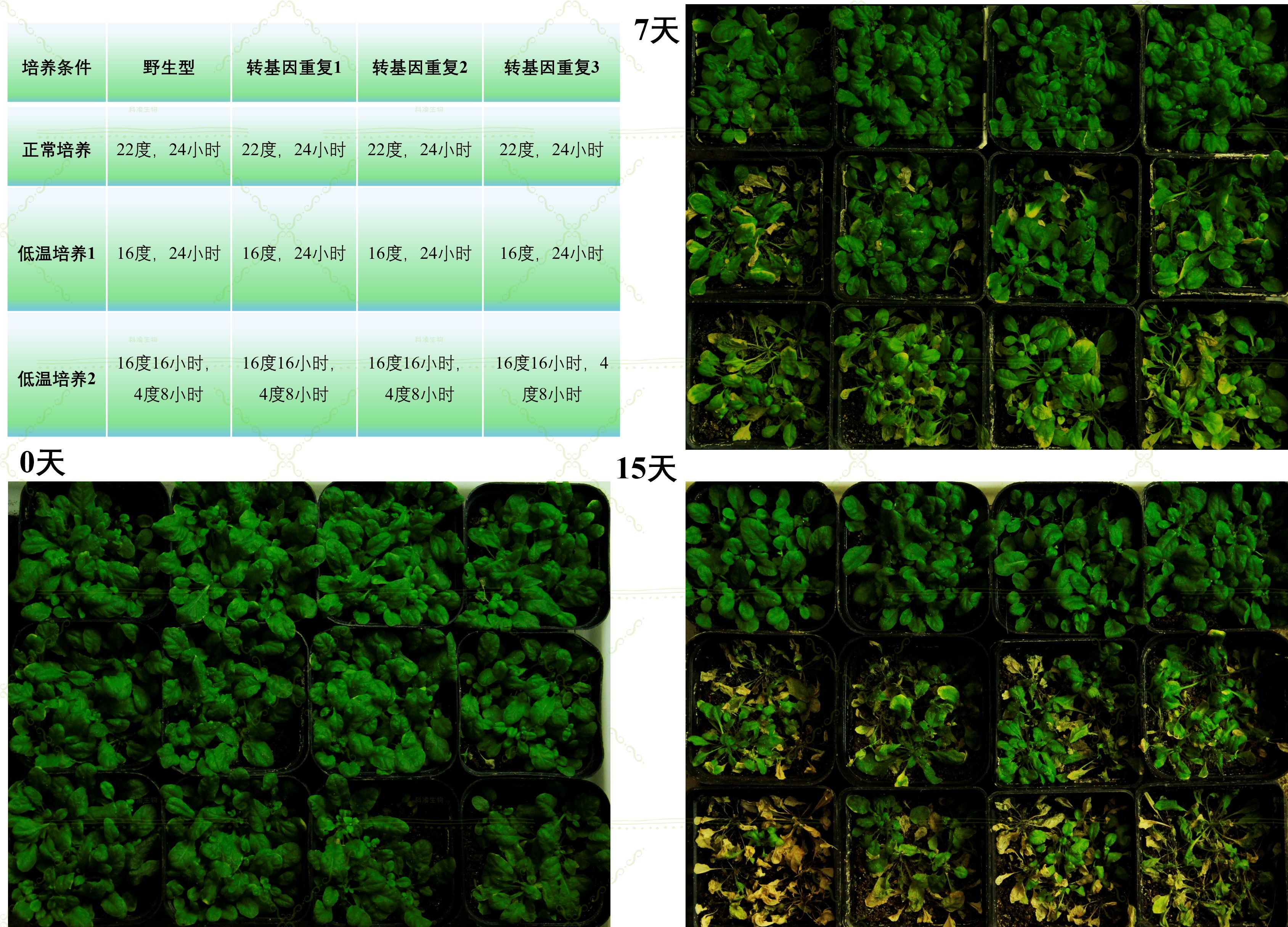
结果初析:将转基因植株进行种植和低温处理,植株存活率统计显示超表达植株比野生型的要高, 说明目的基因存在抵抗低温胁迫的作用。

结果初析:低温处理情况下,转基因拟南芥植株根长和叶片大小明显超过野生型。
生理指标检测有:

结果初析:低温处理后,超表达植株叶片的 ROS 水平明显低于野生型,说明其细胞受损程度更低。

结果初析:超氧化物歧化酶活性(SOD)含量的增加,会增强植株抵抗低温的能力。结果显示,在低 温处理下转基因植株中的 SOD 含量高于野生型,说明转基因植株有一定的抗寒作用。丙二醛(MDA) 含量是植物细胞膜质过氧化程度的体现,丙二醛含量高,说明植物细胞膜质过氧化程度高,细胞膜 受到的伤害严重。结果显示,在低温处理下转基因植株中的丙二醛含量明显低于野生型植株,说明 转基因植株有一定的抗寒作用。
同时,生理检测指标包括过氧化氢酶(CAT)、可溶性糖、脯氨酸(proline)、组织相对含水量、 土壤含水量等。